Cookie Consent byPrivacyPolicies.comdouleur à la percussion suite à un traitement endodontique - Eugenol

douleur à la percussion suite à un traitement endodontique

Charlotte Vial

10/12/2018 à 11h23

Bonjour à tous.

J'aurai voulu avoir votre avis sur ce cas :

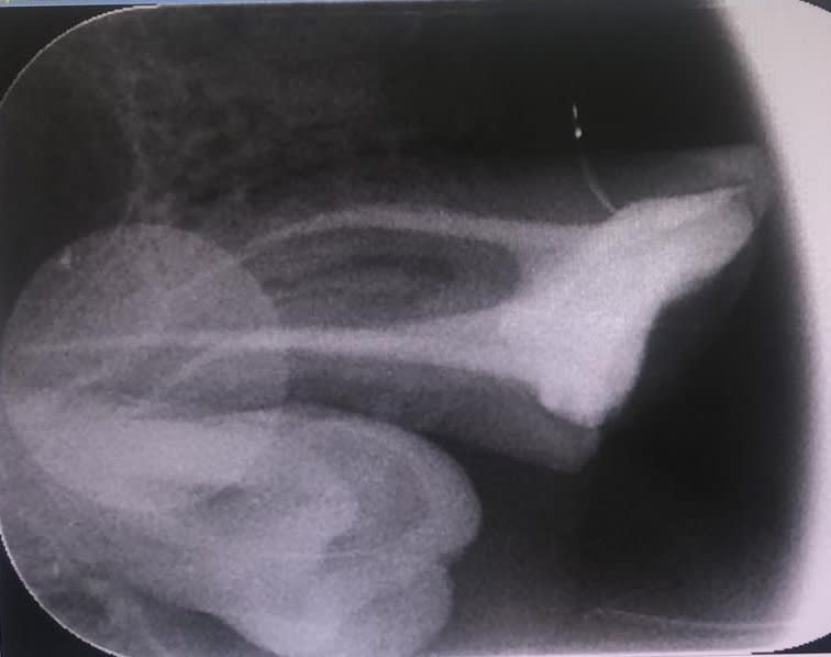
Patient vu il y a trois mois pour une dévitalisation de la 27 (cf radio) , vu deux mois plus tard, légère douleur à la percussion.
Pour moi l'endo à l'air convenable en terme de densité et de longueur….

La dent est en sous occlusion depuis plusieurs mois et il n'y a pas de dents adjacente, il est alors possible qu'une desmodontite soit en cause...?

Je dois le revoir en fin de semaine afin d'initier la réhabilitation du secteur 3 par un bridge et faire une restauration provisoire sur la 27 afin de récréer une occlusion et voir l'évolution.

Pensez vous à autre chose et merci pour votre attention .

Z2lfzhlqjg0rgtvgyoes - Eugenol
Lrapi2c0nwnlcek6lzy3 - Eugenol

Ylfwcw979cz1jnx9gfqeaxndiuzk - Eugenol
Algi

10/12/2018 à 11h46

L'endo à l'air convenable mais la dent est symptomatique.

4eme canal, présence de la sagesse incluse, radio apparemment OK mais mais mais....

Tente de retraiter ou adresse à un spécialiste endo....

--
On a toujours le choix mais entre quoi et quoi?
Vas-y boulégue et l'avenir te le dira!


azerty

10/12/2018 à 12h05

ou felure...


elje

10/12/2018 à 12h41

canal supplémentaire en MV ou irritation du desmodonte de la 28 pr un dépassement d’hypochlorite ou de pâte. Un petit cone beam serait bienvenu


Motte-5

10/12/2018 à 15h32

60% des 7 maxillaires ont un 4 ieme canal et 40% des échecs sont dus à des canaux " oubliés". Donc l'hypothèse la plus convaincante c'est le 4 âme canal. Pour la fêlure un sondage parodontal devrait pouvoir la mettre en évidence. Si tu as un endo de référence envoie lui ou au moins fait un CBCT.


Generique fraisage r2rxmm - Eugenol
lardonbis

10/12/2018 à 15h56

Motte-5 écrivait:
-------
> 60% des 7 maxillaires

bon .... qui en trouve dans 60% des cas ici ?
je passe mon tour, parlez.


zolimome

10/12/2018 à 16h04

lardonbis écrivait:
---------

> bon .... qui en trouve dans 60% des cas ici ?
> je passe mon tour, parlez.

c'est que, dans ces 60% toutes ne font pas problème , et les suites sont mêmes assez rares pour diverses raisons.


Motte-5

10/12/2018 à 17h56

Moi. Si je prend le nombre de cas adressés pour des pb sur les racines médiale des 6 et 7 maxillaires cela représente une bonne part de mon activité. Pas plus tard que ce matin un patient 4 molaires maxillaires couronnées, 4 lésions apicales en rapport avec les racines médiales. Au CBCT 4 MV2. Cet AM une 7 avec une LIPOE, dépose de prothèse et il y'a un MV2. J'en ai des tonnes. Je suis de plus en plus persuadé que les omni devraient refiler les molaires aux exclusifs. Il y perdraient moins de temps et auraient moins d'emmerdes après. Là je vais me faire trucider car c'est pas vraiment dans la culture française


Generique fraisage r2rxmm - Eugenol
lardonbis

10/12/2018 à 18h04

exclusif chez moi ça veut dire 110 km de diesel.... pas très ours blanc friendly tous ça ! :D


Motte-5

10/12/2018 à 18h49

Je vais encore être très polémique. Dans ce cas le seul soin qui te permet de garantir un assainissement complet de ta dent offrant toutes les garanties de succès et en plus RAC 0 c'est l'extraction. Sinon je suis en acccord avec toi il n'y a pas assez d'endo en France. Sur un plan moins polémique mais plus scientifique la pulpo coiffage direct bio dentine ça marche super bien sur dent même en pulpite. On évite ainsi tout pb de recherche canalaire et avec le collage tu t'en sors très bien. Par contre c'est incompatible avec le faux moignon indirect en NICR.